
Pozerajte z okna priamo na hrad - na predaj pozemok s rodinným domom v nádhernom prostredí pod Hradom Schlossberg v Hainburgu.
Hainburg a.d. Donau
Typ: | Predaj |
---|---|
Ulica: | Záhradnícka |
Obec: | Hrubá Borša |
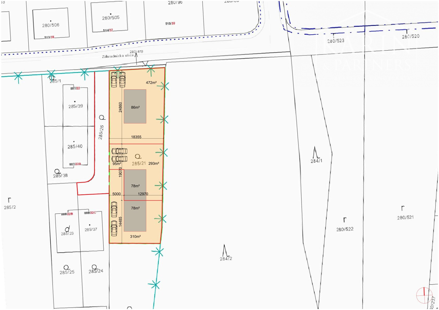
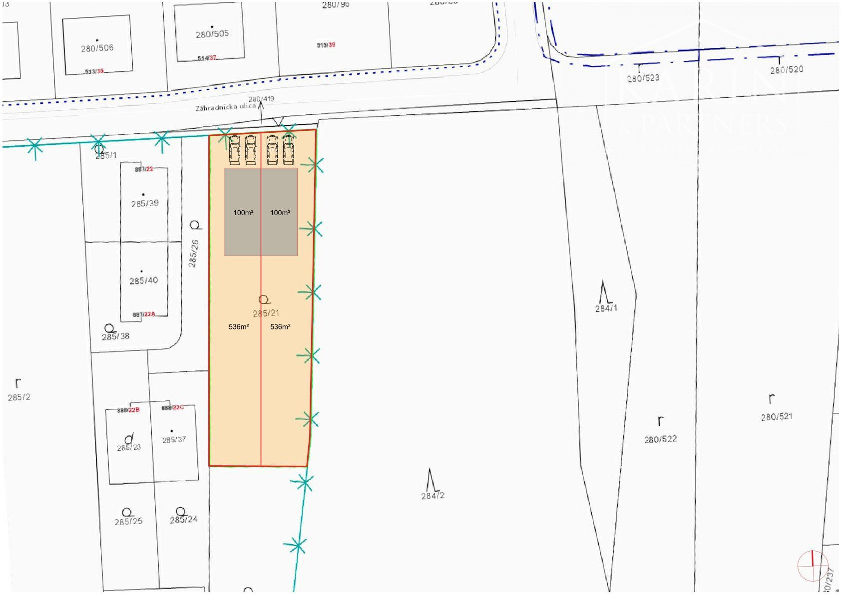
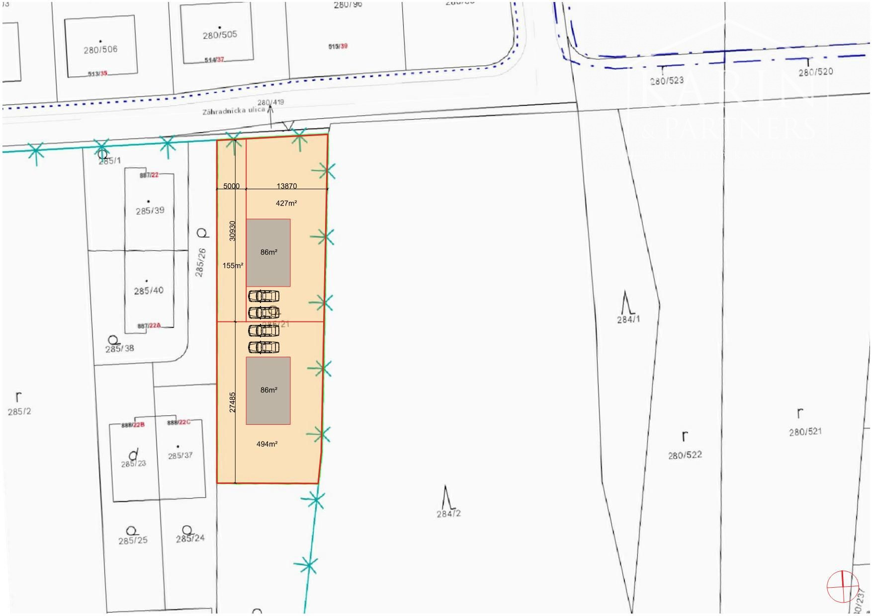
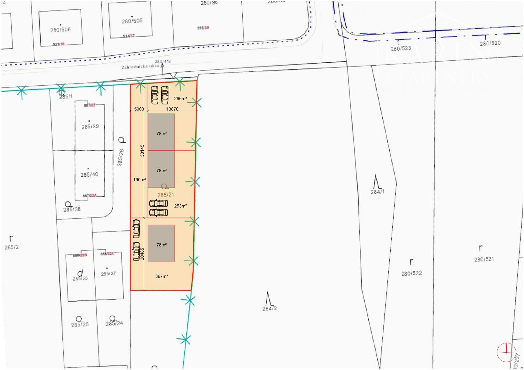
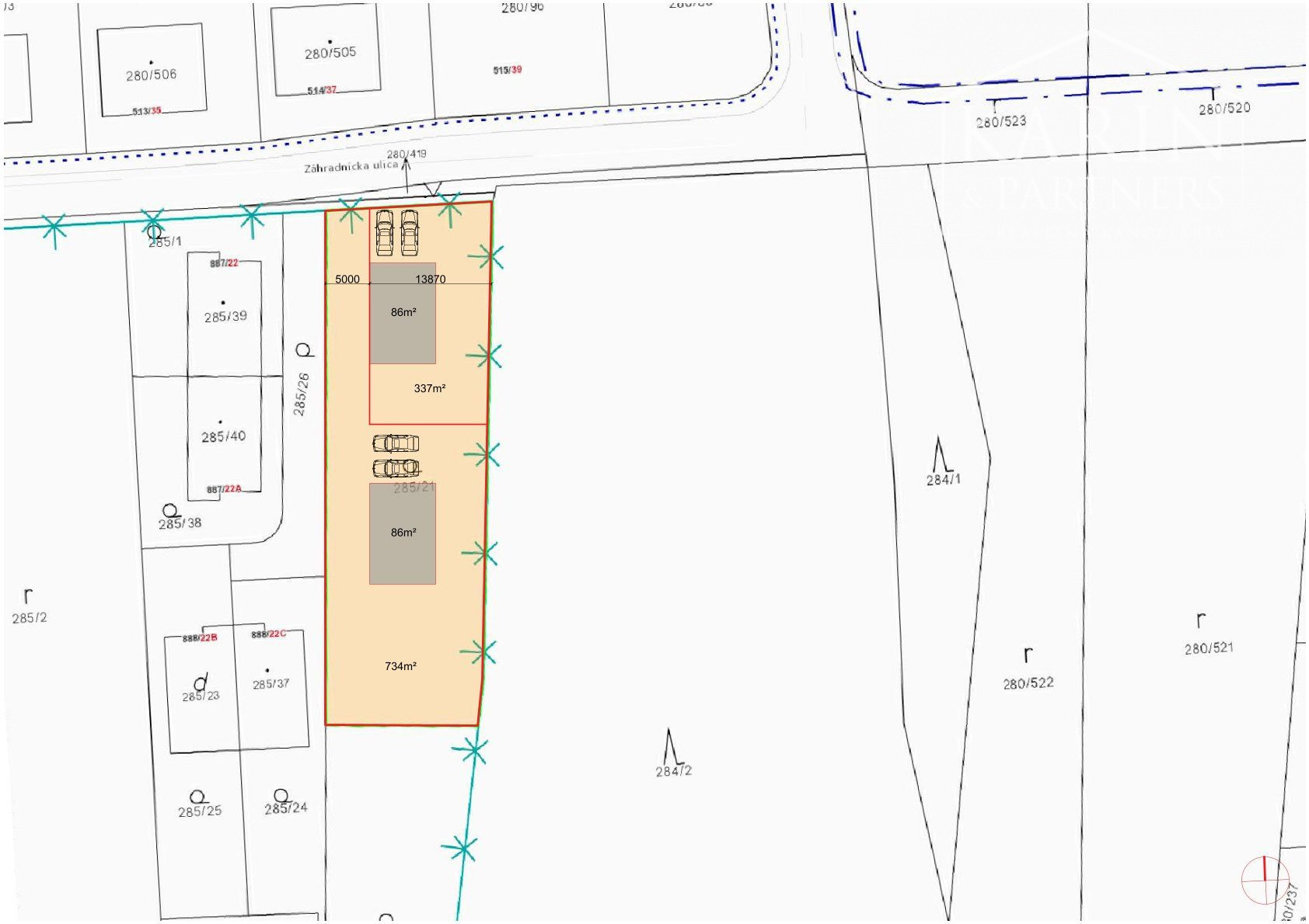
Celková plocha: | 1072 m2 |
---|---|
Úžitková plocha: | m2 |
Realitná kancelária KARIN & PARTNERS vo výhradnom zastúpení majiteľa ponúka na predaj veľkorysý stavebný pozemok ul. Záhradnícka, obec Hrubá Borša, okres Senec
Výmera až 1 072 m2 umožňuje výstavbu 1 až 3 rodinných domov/bungalovov
Ideálny obdĺžnikový tvar dĺžka 60 m a šírka 18 m
Podľa platnej UPI: funkčné využitie R - bývanie v rodinných domoch, percento zastavanosti 25%
Pozemok je oplotený, nachádza sa v novovybudovanej štvrti rodinných domov
Z jednej strany susedí s obecným lesoparkom
Inžinierske siete k pozemku: plyn, elektrina, vodovod, kanalizácia, internet
Prístupová cesta betónová vo vlastníctve obce
K dispozícii zastavovacie štúdie rodinných domov - návrh
Výhody:
Lokalita: Hrubá Borša je rýchlo rozvíjajúca sa obec aj vďaka svojej atraktívnej polohe len 8 km od Senca a 34 km od Bratislavy so šikovným napojením na D1. Golfový areál Green Rezort s reštauráciou, letné kino, množstvo zelene, blízke jazerá, cyklotrasy, športoviská, ihriská aj jazdecká škola len umocňujú kvalitu života v obci. Nachádzajú sa tu 2 materské školy, potraviny, kaviareň s cukrárňou a rôzne služby, zástavka autobusu
Pozemok je ihneď k dispozícii, LV bez tiarch a poznámok
Cena: 220.000,- €
v cene sú zahrnuté služby RK: komplexný právny servis - vypracovanie všetkých druhov zmlúv potrebných k predaju, poplatok za overenie podpisov na kúpnych zmluvách, správny poplatok za vklad do katastra nehnuteľností, odovzdanie nehnuteľnosti, hypotekárne poradenstvo
Fotografie a text sú autorským dielom spoločnosti KARIN & PARTNERS.
Kontakt a obhliadka:
Ing. Beata Zvonárová
certifikovaný realitný maklér
člen Realitnej Únie Slovenskej republiky
+421 905 611 184
Fotografie a text sú autorským dielom spoločnosti KARIN & PARTNERS.